资讯频道-大邑淘房网

  大邑淘房网 > 新房资讯 > 楼盘动态 > 浏览文章

安仁新公馆聚落一区总平面方案调整

作者:dytfw 来源:大邑淘房网 更新时间:2013年08月01日 【字体:

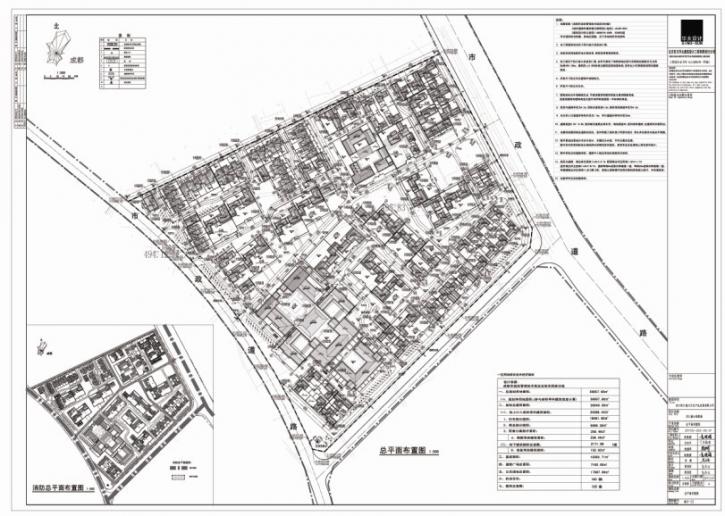
大邑淘房网信息 四川安仁建川文化产业发展有限公司建设的《安仁新公馆聚落一区》项目,位于大邑县安仁镇迎宾路3段,一区用地面积56957.6㎡。《安仁新公馆聚落一区》总平规划建设方案于2012年九月经大邑县规划管理局审核批准。四川安仁建川文化产业发展有限公司拟在符合土地出让规划条件下增加小区物管配套设施、避免灾害性天气对原方案地下室的损害及保护小区原有绿化树种的前提下于 2013年7月向大邑县规划管理局申请,对《安仁新公馆聚落一区》总平面方案进行调整。调整内容如下: (1).增加小区的物业管理用房。(原建筑面积为:105.64平方米,层数为2层, 现建筑面积为208.46平方米,地面层数为2层,负一层为设备用房102.82平方米) (2).14,15,18,19栋住宅楼的户型和地下室进行了调整。(原20户现套型调整为39户,地下室原有面积为2444.54平方米,现地下室为2171.06平方米,总建筑面积仍为26540.5平方米)具体调整情况如下:

安仁新公馆聚落一区总平面方案调整

安仁新公馆聚落一区总平面方案调整

现将拟调整总平面方案进行公示,公示载体为大邑县规划管理局网站(www.day.gov.cn)及《安仁新公馆聚落一区》的建设现场。公示期限为10天,(即 2013年7月31日-2013年8月9日止)。

凡与本方案调整有利害关系的公民、法人以及其他组织若对拟调整方案有异议请在公示期限内,持合法有效身份证件向大邑县规划管理局进行陈述、申辩或提出听证申请,逾期未向大邑县规划局规划管理局进行陈述、申辩或提出听证申请的,视为放弃上述权利并同意上述拟调整方案。

材料提交地址:成都市大邑县晋原镇桃源新区桃源大道66号大邑县规划局规划管理科.

联系电话:028-88222773  邮编:611330

四川安仁建川文化产业发展有限公司联系电话:028-88318278

联系人:魏建民

楼 盘 价格(元/平) 区 位
润洲·华府 3300 大邑大道
春天国际 3300 大邑大道
圣桦城 3800 内蒙古大道
中铁金山 3800 大邑大道
优品美地 3500 甲子路
润驰国际广场 3800 内蒙古大道